Biocenosis • ISSN: 1659-4991/ Vol. 36/ Núm. 2/ Julio-Diciembre, 2025
Evaluación de la riqueza y estacionalidad de aves marinas en los montes submarinos de la Cordillera Volcánica Submarina del Coco: análisis en rutas de investigación y ecoturismo
Assessment of seabird richness and seasonality on the seamounts of Cocos Submarine Volcanic Ridge: analysis along routes of research and ecotourism
Sergio Arias1
Roberto Vargas-Masís2
Geiner Golfín Duarte3
DOI: 10.22458/rb.v36i2.6275
Recibido - Received: 20/ 09/ 2025/ Corregido - Revised: 20/ 10/ 2025/ Aceptado - Accepted: 10/ 11/ 2025
RESUMEN
Las aves marinas desempeñan un papel crítico en los ecosistemas oceánicos, aunque son uno de los grupos menos estudiados en el Pacífico Este Tropical, particularmente en Costa Rica. El estudio analiza la riqueza y estacionalidad de aves marinas en los montes submarinos de la Cordillera Volcánica Submarina del Coco, mediante observaciones sistemáticas de 182 muestreos entre 2020 y 2025, durante nueve expediciones que siguieron rutas de investigación y ecoturismo hacia la Isla del Coco. Se registraron 31 especies pertenecientes a ocho familias, entre las que destacan Laridae, Hydrobatidae y Procellariidae. Las especies más frecuentes en detección fueron Sula sula, Sula brewsteri y Ardenna pacifica. Nueve especies son residentes reproductoras, veinte migratorias y dos accidentales; además, seis presentan alguna categoría de amenaza según la UICN. Los resultados evidencian el papel de los montes marinos como hábitats clave y puntos de agregación y tránsito para aves oceánicas de diversos orígenes y resaltan el valor del ecoturismo científico como herramienta para el monitoreo. El estudio ofrece una línea base para futuros programas de conservación marina y promueve la integración de las aves marinas como bioindicadores o elemento focal de manejo en la gestión del Pacífico Este Tropical.
Palabras clave: aves marinas; Pacífico Este Tropical; Cordillera del Coco; estacionalidad; riqueza de aves.
ABSTRACT
Seabirds play a critical role in oceanic ecosystems, yet they remain one of the least studied groups in the Tropical Eastern Pacific, particularly in Costa Rica. This study analyzed the richness and seasonality of seabirds associated with the submarine seamounts of the Cocos Submarine Volcanic Ridge, through systematic observations conducted in 182 surveys between 2020 and 2025 during nine expeditions following research and ecotourism routes to Cocos Island. A total of 31 species belonging to eight families were recorded, with Laridae, Hydrobatidae, and Procellariidae being the most represented. The most frequently detected species were Sula sula, Sula brewsteri and Ardenna pacifica. Nine species are breeding residents, twenty are migratory, and two are accidental; additionally, six species are listed under some threat category according to the IUCN. The results highlight the role of seamounts as key habitats and aggregation and transit points for oceanic birds of diverse origins and emphasize the value of scientific ecotourism as a monitoring tool. This study provides a baseline for future marine conservation programs and promotes the integration of seabirds as bioindicators or focal elements in the management of the Tropical Eastern Pacific.
Key words: seabirds; Eastern Tropical Pacific; Cocos Range; seasonality; bird richness.
Introducción
Las aves marinas representan uno de los grupos taxonómicos menos estudiados en el Pacífico Este Tropical, incluyendo Costa Rica. Estas especies dependen en gran medida de ambientes marinos y costeros, muchas tienen hábitos completamente oceánicos, pasan la mayor parte de su vida en ecosistemas pelágicos (Harrison et al., 2021). Algunas de ellas están asociadas con montes submarinos, donde aprovechan áreas de alta productividad biológica (Broadus et al., 2025). A nivel global, aproximadamente 50 % de las especies de aves marinas se encuentran amenazadas, 55 % presenta poblaciones en declive, muchas en riesgo de extinción (Phillips, Fort & Dias, 2023).
En Costa Rica, la información sobre su presencia y estacionalidad es escasa y fragmentada. Los pocos estudios en la región se han enfocado en aves costeras del Pacífico (Stiles, 1984; Barrantes & Chaves-Campos, 2009; Young & Zook, 2016), en notas de registro y listas de especies para ambas costas (Calvo-Villalobos et al., 2015; Arce-Zúñiga, 2017; Sandoval et al., 2016; Valverde et al., 2021; Arias, 2024; Rojas-Barrantes & Sandoval, 2024; Sánchez et al. 2024), o bien en la Isla del Coco (Slud, 1964; Montoya, 2003, 2004, 2006, 2007, 2008, 2021; Dean & Montoya, 2005; Easley & Montoya, 2006; López-Pozuelo & Montoya 2009; Huertas & Sandoval 2012; Herrera & Blanco, 2014; Fourriére et al., 2016; Blanco & Sandoval 2019; Arias 2023; Arias & Montoya 2023, 2025; Monge et al., 2024).
El área marina de Costa Rica, particularmente la establecida alrededor de la Isla del Coco y los montes submarinos de la Cordillera de Cocos, es nueve veces más extensa que su territorio continental. Esta cordillera oceánica, de origen volcánico, se formó hace más de 30 millones de años y se extiende por más de 1000 km desde la Fosa Mesoamericana, conectando la Isla del Coco con las Islas Galápagos (Bigue et al., 2024).
Esta región está influenciada por la Zona de Convergencia Intertropical y una compleja red de corrientes marinas del Pacífico Norte, del hemisferio sur y del Ecuador, que interactúan entre sí y con ecosistemas oceánicos distantes (Arias & Montoya, 2025). Estas características oceanográficas y topográficas generan zonas de agregación y migración para una alta diversidad de especies, incluyendo aves marinas residentes y migratorias.
Pese a que se han documentado corredores migratorios para grandes especies pelágicas, como peces cartilaginosos y óseos, cetáceos y tortugas, entre la Isla del Coco, Galápagos y Malpelo (Nalesso et al., 2019; Peñaherrera-Palma et al., 2021; Cambra et al., 2021), el conocimiento sobre la riqueza y distribución de la avifauna marina asociada es limitado.
Comprender la riqueza, origen y estacionalidad de las aves marinas en los montes submarinos de la Cordillera Volcánica Submarina de Coco es fundamental para fortalecer su gestión y conservación, así como para afianzar la relevancia del Corredor Marino del Pacífico Este Tropical (CMAR) como eje de conservación y gobernanza regional (Enright et al., 2021). Su estudio proporciona un indicador adicional para analizar la migración, el forrajeo y las interacciones ecológicas entre especies de alto valor biológico, en particular la avifauna. Asimismo, brinda información relevante para el desarrollo del ecoturismo, lo cual refuerza la necesidad de promover la investigación científica en esta área.
En el estudio, se analiza la riqueza y estacionalidad de las aves marinas en los montes submarinos de la Cordillera Volcánica Submarina de Coco, en el Pacífico costarricense, sobre las rutas de investigación y ecoturismo, con el fin de comprender su presencia y servir como base para futuros programas de monitoreo normado y acciones de gestión y conservación de la avifauna marina como indicador de los ecosistemas del Pacífico Este Tropical.
Metodología
Área de estudio
La investigación se llevó a cabo siguiendo la ruta oceánica de las naves de investigación y ecoturismo que ingresan y regresan a la Isla del Coco desde el cantón central de Puntarenas y el puerto de Golfito. Estas dos rutas transitan sobre los montes marinos de la Cordillera Volcánica Submarina de Coco —desde la Fosa Mesoamericana hasta la Bahía Chatham en el Parque Nacional Isla del Coco— y cubren una distancia aproximada de 500 km. La zona muestreada incluye al menos doce montes marinos y sus cercanías sobre la Cordillera Volcánica Submarina de Coco con profundidades que oscilan entre los 50 y los 5000 m.
Observación y colecta de datos
Las observaciones sistemáticas se efectuaron en nueve expediciones de turismo ornitológico e investigación al Parque Nacional Isla del Coco entre 2020 y 2025 en las naves Okeanos I, II y III (ocho viajes desde Puntarenas) y el Range Rover de Misión Tiburón (una expedición desde Golfito). Cada expedición incluyó un viaje de ingreso y otro de salida con duraciones de 36 a 42 horas (cuadro 1).
Cuadro 1
Expediciones realizadas entre 2020 y 2025, naves utilizadas y fechas de ingreso y salida
|
Expedición |
Nave |
Ruta |
Fechas |
|
I |
Okeanos I |
Puntarenas - Isla Coco |
12-13/7/20 |
|
Isla Coco - Puntarenas |
20/7/20 |
||
|
II |
Okeanos I |
Puntarenas - Isla Coco |
31/8/20 |
|
Isla Coco - Puntarenas |
8/9/20 |
||
|
III |
Okeanos I |
Puntarenas - Isla Coco |
6-7/1/21 |
|
Isla Coco - Puntarenas |
13-14/1/21 |
||
|
IV |
Okeanos I |
Puntarenas - Isla Coco |
14/5/21 |
|
Isla Coco - Puntarenas |
21-22/5/21 |
||
|
V |
Okeanos II |
Puntarenas - Isla Coco |
10/11/21 |
|
Isla Coco - Puntarenas |
17-18/11/21 |
||
|
VI |
Okeanos I |
Puntarenas - Isla Coco |
27/3/22 |
|
Isla Coco - Puntarenas |
3-4/4/22 |
||
|
VII |
Okeanos III |
Puntarenas - Isla Coco |
2-3/04/24 |
|
Isla Coco - Puntarenas |
9-10/4/24 |
||
|
VIII |
Range Rover Misión Tiburón |
Golfito - Isla Coco |
11-12/11/24 |
|
Isla Coco - Golfito |
18/11/24 |
||
|
IX |
Okeanos II |
Puntarenas - Isla Coco |
18/4/25 |
|
Isla Coco - Puntarenas |
25-26/04/25 |
Nota. Elaboración de los autores.
Se registraron datos de las especies cubriendo un transecto lineal de 15-20 km cada hora, se llevaron a cabo 182 muestreos utilizando el protocolo pelágico de la herramienta eBird de la Universidad de Cornell (eBird, 2025), véase figura 1.
Figura 1
Sitios de muestreo de una hora realizados entre 2020 y 2025 sobre montes submarinos,
desde la Fosa Mesoamericana hasta la Isla del Coco

Notas. Los puntos corresponden a estaciones de observación sistemática ubicadas a lo largo de rutas de investigación y ecoturismo
que parten de Puntarenas y Golfito, atravesando la Cordillera de Cocos. Sobre capa batimétrica de los mapas batimétricos de la NOAA.
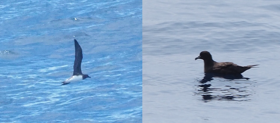
Se realizó un promedio de diez listados en cada entrada o salida de las expediciones (cuadro 1). La mayoría de las observaciones fueron realizadas durante el día. Las nocturnas fueron limitadas, efectuándose seis con el fin de documentar la presencia de la especie Creagrus furcatus (figura 2). Las observaciones se llevaron a cabo desde la proa de las naves y sitios seguros en condiciones de alta visibilidad, excepto en dos viajes (noviembre 2021 y 2024) con precipitaciones intensas durante la navegación.
Se documentaron y contaron los individuos de todas las especies en un área de visibilidad de 80 metros desde la nave. Se utilizaron binoculares de 8x32 y 10x42 de la Serie BD de la marca Kowa, así como una cámara fotográfica Olympus. Se participó de todas las expediciones reportadas en el cuadro 1 y en cada muestreo de una hora participaron de tres a doce personas.
Figura 2
Creagrus furcatus (izquierda, juvenil) fue la especie de la familia Laridae
con mayor frecuencia de detección
Notas. La presencia de Creagrus furcatus (izquierda) es de especial interés para la conservación debido a su rango de distribución restringido,
y los registros sugieren que podría estar más presente al norte de sus sitios reproductivos en las Islas Galápagos de lo que se había documentado previamente.
Phaethon aethereus (derecha), aunque registrada en menor número de individuos, fue observada en la mayoría de las expediciones.
Ninguna de las dos especies presentó variaciones significativas en su detección entre estaciones. Fotografías: Sergio Arias; C. furcatus (abril 2024), P. aethereus (mayo 2021).
Análisis
Se reporta el número absoluto y porcentaje de detección de cada especie, con base en monitoreos estandarizados de una hora, así como la estacionalidad de manera independiente por época lluviosa (mayo a noviembre), época seca (diciembre a abril) y de forma general para el periodo de estudio 2020-2025. Las especies se presentan organizadas taxonómicamente por familia y especie (cuadro 2). El estatus de presencia (E) se clasifica como: M = Migratoria, R = Residente reproductor en Costa Rica y A = Accidental, basándose en la Lista Oficial de Aves de Costa Rica (Garrigues et al., 2024).
El estatus de conservación, según la Lista Roja de la Unión Internacional para la Conservación de la Naturaleza (IUCN, 2025), se indica como: LC = Preocupación Menor, NT = Casi Amenazado y VU = Vulnerable.
Para efectos de esta investigación el análisis se limitó a especies de aves marinas de las familias Scolopacidae, Stercorariida, Laridae, Phaethontidae, Hydrobatidae, Procellariidae, Fregatidae y Sulidae. Durante la identificación de las especies se utilizaron las guías de campo de Garrigues & Dean (2014), Howell & Zufelt (2019), Harrison et al. (2021), Arias & Montoya (2025), además de consultas a expertos. Otras especies documentadas fueron: Tringa flavipes, Arenaria interpes, Calidris melanotos, Hirundo rustica, Petrochelidon pyrrhonota y Falco peregrinus.
Se evaluaron las variaciones en la abundancia de aves entre épocas en los dos periodos de muestreo (época lluviosa y época seca) mediante el programa R (R Core Team, 2025). Primero se realizó un análisis pareado no paramétrico de Wilcoxon para valorar las diferencias en la abundancia entre época seca y lluviosa.
Posteriormente, se ajustaron modelos lineales generalizados mixtos (GLMM) utilizando el paquete lme4 (Bates et al., 2015), considerando como variable respuesta la abundancia con una distribución de error de tipo Poisson. Se utilizó como variable fija la época y se incluyeron como efectos aleatorios las variables familia y estatus para capturar la heterogeneidad intragrupal no explicada por la época.
Por último, dado que el modelo Poisson presentó una sobredispersión severa (ratio = 6.11; p < 0.001), se reestimó el modelo utilizando una distribución binomial negativa (glmer.nb), la cual permite modelar la varianza extra y obtener estimaciones más realistas. Se evaluó el ajuste comparando los valores del Criterio de Información de Akaike (AIC), la dispersión de residuos y la significancia de los efectos fijos.
Resultados
Riqueza de aves
La riqueza específica de aves marinas registrada para el estudio se compone de 31 especies detectadas, pertenecientes a ocho familias, según la taxonomía de la American Ornithological Society (Chesser et al., 2025). Las familias con más representantes son Laridae (11 spp.), Hydrobatidae (6 spp.) y Procellariidae (6 spp.). Según las observaciones por periodo de 1-hora Sula sula (74,73 %), Sula brewsteri (48,90 %), Ardenna pacifica (38,46 %), Hydrobates tethys (30,22 %) y Sula granti (27,47 %) fueron las especies con mayor detección durante los muestreos. Cuatro de las especies fueron reportadas solo una vez Phalaropus lobatus, Xema sabini, Onychoprion fuscatus y Sterna hirundo (cuadro 2, figura 3).
Figura 2
Sula brewsteri (izquierda) y Sula sula (derecha), ambas especies residentes y reproductoras en la Isla del Coco

Notas. S. brewsteri también nidifica en islotes costeros del Pacífico costarricense.
Estas fueron las especies con mayor frecuencia de detección en los muestreos estandarizados por hora,
siendo consideradas indicadores tróficos clave de la productividad asociada a los montes submarinos.
Fotografías de Sergio Arias, abril, 2025.
Seis especies (19,3 %) presentan alguna categoría de amenaza según la Unión Internacional para la Conservación de la Naturaleza. Tres se ubican en Casi Amenazada (NT) y tres en Vulnerable (VU). Las restantes 25 se ubican en Preocupación Menor (LC). Nueve especies (29 %) son residentes reproductivas (R) en el país, 20 (64,5 %) son migratorias (M) y dos (6,4 %) son accidentales (A). Onychoprion fuscatus y Sula granti (especies migratorias) presentan además algunos individuos reproductivos en Isla del Coco.
Cuadro 2
Especies de marinas documentadas según estación

Nota. Elaboración de los autores. Las especies se presentan organizadas taxonómicamente por familia y especie.
El estatus de presencia (E) se clasifica como: M = Migratoria, R = Residente reproductor en Costa Rica y A = Accidental.
El estatus de conservación, según la Lista Roja de la UICN, se indica como: LC = Preocupación Menor, NT = Casi Amenazado y VU = Vulnerable.
Se reporta el número absoluto de detecciones, seguido del porcentaje de detección entre paréntesis, con base en muestreos estandarizados de 1-hora.
Los datos se presentan por época lluviosa (mayo a noviembre), época seca (diciembre a abril) y de forma general para el periodo de estudio 2020–2025.
Estacionalidad
Se documentaron 28 especies en la época lluviosa y 28 en la época seca. Se observa una estacionalidad marcada en la presencia de especies migratorias con detecciones relevantes en la época lluviosa para Hydrobates tethys (44,12 %) y Sula granti (39,71 %), Ardenna creatopus (19,12 %), Pseudobulweria rostrata (17,65%) e Hydrobates markhami (14,70 %). Para la época seca destacan Hydrobates leucorhous (18,42 %) y Stercorarius pomarinus (11,40 %), registrado únicamente en ese periodo. Ardenna pacifica (figura 4) presenta una alta tasa de detección en ambos periodos, lo que demuestra fidelidad al sitio respecto a los montes marinos.
Figura 4
Ardenna pacifica muestra fidelidad espacial en ambas estaciones; se resalta la importancia
de los montes submarinos como áreas de alimentación y agregación para especies
con amplios rangos migratorios
Nota. Por el patrón de plumaje, se observa que los individuos registrados podrían proceder del archipiélago de Hawái.
Fue la especie con mayor número de individuos detectados, presente en aproximadamente 40 % de los muestreos estandarizados por hora.
Se observó tanto en pequeños grupos como en agregaciones numerosas. Fotografías de Sergio Arias, enero 2021.
En relación con las especies residentes Sula dactylatra presenta mayor frecuencia en la época lluviosa (23,53 %) y Gygis candida más frecuencia en los meses secos (13,16 %). Sula sula y Sula brewsteri muestran alta detección en ambas estaciones, lo que indica presencia continua sobre la cordillera marina; ambas son reproductivas en Isla del Coco y S. brewsteri también de islotes costeros del Pacífico costarricense (cuadro 2).
La presencia de otras especies accidentales de interés para la conservación como Hydrobates castro y Puffinus nativitatis, refuerza la importancia del monitoreo a largo plazo y sistemático sobre los montes marinos como herramienta para detectar la presencia de la avifauna, confirmar rutas migratorias y posibles cambios, así como su relación con los ecosistemas oceánicos o los fenómenos oceanográficos inusuales o con condiciones específicas.
Abundancia
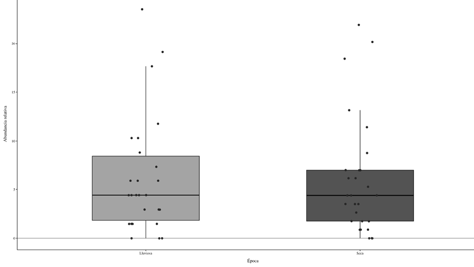
Las diferencias evaluadas mediante la prueba de Wilcoxon no mostraron resultados estadísticamente significativos entre la abundancia de aves por época (W = 346, p-value = 0,06). El modelo binomial negativo mejoró sustancialmente el ajuste de los datos (AIC = 398) en comparación con el modelo Poisson (AIC = 611), eliminando la sobredispersión de los datos.
Los efectos aleatorios indicaron una varianza moderada entre familias (σ² = 0,728) y entre categorías de estatus (σ² = 0,760). El efecto fijo por época mostró una tendencia positiva no significativa (Estimado = 0,286 ± 0,225; Z = 1,27; p-value = 0,203). Esto sugiere que, aunque la abundancia promedio fue aproximadamente 33% mayor en la época seca (e^0,286 = 1,33), las diferencias no son estadísticamente significativas.
Los resultados se representan gráficamente en la figura 5, donde se observa una leve tendencia al aumento de la abundancia durante la estación seca, aunque con amplios intervalos de confianza que se superponen entre épocas. Para la representación gráfica, se eliminaron los valores extremos superiores a 30 individuos en la abundancia por especie; sin embargo, puede ampliarse la información en el cuadro 2.
Figura 5
Abundancia relativa de especies por época lluviosa y seca
Notas. En la gráfica no se consideraron los valores fuera del promedio superiores a 30 (ver cuadro 2 para ampliar información respecto a la abundancia total por especie). Elaboración de los autores.
Discusión
La riqueza de aves oceánicas documentada en el estudio evidencia una importante diversidad de este grupo en los montes marinos y aguas adyacentes como sitios de alta productividad biológica (Watling & Auster, 2017), con 31 especies registradas a lo largo de cinco años de monitoreo estandarizado. Los datos evidencian una alta heterogeneidad taxonómica, en la que predominan las familias Laridae, Hydrobatidae y Procellariidae, además de patrones consistentes de presencia y estacionalidad que brindan pistas relevantes sobre la ecología de las especies.
La alta frecuencia de detectabilidad de Ardenna pacifica, Sula brewsteri y Sula sula define su rol como componentes tróficos estructurales de estos hábitats. Sula sula con una detección de 74,73 % sugiere una marcada fidelidad espacial, asociada a sus sitios de reproducción y a zonas de alta productividad marinas.
La alta presencia y fidelidad de Ardenna pacifica (figura 4), especie visitante en ambas estaciones, también resalta la importancia de estos espacios marinos para especies con amplios rangos migratorios y sitios clave de alimentación y agregación potencialmente predecibles (Arias, 2023, cuadro 2).
No debe pasarse por alto el registro único de cuatro especies (Phalaropus lobatus, Xema sabini, Onychoprion fuscatus y Sterna hirundo), que aunque numéricamente marginales, adquieren valor al considerar posibles rutas migratorias y cambios de distribución relacionados a variabilidad oceanográfica o climática (Sydeman et al., 2021), lo que sugiere la necesidad de más investigación y documentación.
En cuanto a la estacionalidad de especies, se confirma una alta proporción de migratorias en el ensamble registrado, con patrones particulares para cada época. Durante el periodo lluvioso, la presencia de especies migratorias Hydrobates tethys y Sula granti se podría vincular con pulsos de productividad asociados a desplazamiento de masas de agua enriquecidas o al incremento de alimento disponible (Fiedler & Lavín, 2016). En la época seca, se muestra la presencia de especies del hemisferio norte (Hydrobates leucorhous y Stercorarius pomarinus), en correlación con los ciclos migratorios boreales.
En términos de conservación, es relevante que casi 20 % de las especies reportadas estén en categorías de Casi Amenazada (NT) o Vulnerable (VU). Este hallazgo refuerza el carácter de las aguas oceánicas costarricenses como corredores y sitios de conservación clave para especies cuyas poblaciones dependen de hábitats dispersos, remotos y escasamente estudiados, lo que subraya la necesidad de futuras acciones de manejo.
Las detecciones de Procellariiformes (Hydrobates leucorhous, Hydrobates markhami, Pseudobulweria rostrata, Procellaria parkinsoni y Ardenna creatopus) con estatus de NT, VU o afines a hábitats pelágicos poco estudiados, refuerzan la importancia de los montes submarinos para especies en riesgo (cuadro 2, figura 6).
Figura 6
Pseudobulweria rostrata y Procellaria parkinsoni
Nota. Fotografías de Sergio Arias; P. rostrata (septiembre 2020), P. parkinsoni (abril 2025).
Es importante destacar que la mayoría de las expediciones que sustentan este estudio se realizaron bajo un esquema de turismo ornitológico con fines científicos, lo que demuestra el valor del ecoturismo como herramienta operativa para el monitoreo biológico en entornos marinos de difícil acceso. Esa sinergia permitió no solo la recolección sistemática de datos durante las salidas, sino también la generación de los recursos logísticos y financieros para sostener esfuerzos a largo plazo.
La complementariedad del aviturismo y la investigación científica es una estrategia efectiva para ampliar el conocimiento sobre las aves en ambientes pelágicos, fomentar la conservación y la ciencia ciudadana en un ambiente de creciente interés por la observación de aves marinas como actividad especializada de ecoturismo. Bajo este enfoque, la participación de un equipo científico en el diseño, ejecución y validación de los muestreos garantiza los datos y fortalece capacidades locales en investigación aplicada y sensibilización ambiental.
De forma integral, los resultados resaltan la necesidad de consolidar esquemas o programas de monitoreo sistemático en el mar a largo plazo, con especial atención a los montes marinos y otras áreas oceánicas, para observar y definir tendencias, confirmar patrones biogeográficos y observar cambios en distribución y alertas tempranas sobre fenómenos oceanográficos inusuales o desplazamiento de poblaciones no comprendidos.
Este tipo de iniciativas – la primera que evalúa la riqueza de aves marinas sobre los montes submarinos– aporta insumos clave para el desarrollo de estrategias de conservación marinas, tanto regionales como globales. Además, brinda información crucial para integrar las aves marinas en los marcos de gestión de ecosistemas y para que se reconozca su valor como bioindicadores y componentes esenciales de la biodiversidad oceánica de Costa Rica y el Pacífico Este Tropical.
Aunque los resultados no evidenciaron diferencias estadísticas significativas en la abundancia por época, sí mostraron una tendencia superior en época seca, lo que aporta diferencias taxonómicas y ecológicas, así como variabilidad intra e intergrupal en la abundancia media de las especies.
Estudios en otras latitudes han mostrado que variables como la productividad, las condiciones ambientales y la distancia a tierra (alta mar) son descriptores importantes de las diferencias en este grupo taxonómico (Serratosa et al., 2020).
Los hallazgos son preliminares, pero proporcionan una base sólida para incorporar variables ambientales adicionales – por ejemplo, temperatura superficial del mar, productividad o esfuerzo de muestreo– en análisis futuros del proyecto.
Agradecimientos
Esta publicación se enmarca dentro de los productos del proyecto Plumas Marinas UCR (PluMare, C4607), financiado por el Fondo de Estímulo a la Investigación Científica de la Vicerrectoría de Investigación de la Universidad de Costa Rica, especial mención a Marisol Mayorga, investigadora asociada, Diego Ramírez y Fabián Torres, asistentes del proyecto.
Agradecemos al Área de Conservación Marina Coco (ACMC) y a su equipo directivo y operativo por su valiosa colaboración en el desarrollo de las expediciones de ecoturismo científico y aviturismo en las aguas oceánicas y la Isla del Coco. Así como a Misión Tiburón sus directores Andrés López, Ilena Zanella y a su equipo técnico y operativo por permitir a miembros de este equipo de investigación participar en la expedición El Viaje del Tiburón Martillo a bordo del Range Rover, lo que facilitó la colecta de datos en zonas poco exploradas. Reconocemos a la empresa Aventuras Marítimas Okeanos por su apoyo logístico y el trabajo de su equipo, que hizo posible el desarrollo exitoso de cada salida de campo. Nuestro reconocimiento final a los observadores de aves que participaron y financiaron las salidas, haciendo posible esta alianza entre ciencia ciudadana, conservación y ecoturismo.
Referencias
Arce-Zúñiga, J. (2017). Hallazgo del charrán sombrío (Onychoprion fuscatus) ‘encallado’ en Barra del Colorado en la costa norte-caribeña de Costa Rica. Zeledonia, 21(1), 66–66. https://www.zeledonia.com/uploads/7/0/1/0/70104897/zeljune2017-63-66.pdf
Arias, S. (2023). Observación de aves oceánicas en el Océano Pacífico costarricense y en el Área de Conservación Marina Coco. Zeledonia, 27(1), 18–27. https://www.kerwa.ucr.ac.cr/items/3f935b86-9f60-4ac6-9861-6a353d79f4f0
Arias, S. (2024). Primer registro del albatros de Salvin (Thalassarche salvini) y nuevos registros del albatros de Galápagos (Phoebastria irrorata) en Costa Rica. Zeledonia, 28(1), 59–68. https://www.kerwa.ucr.ac.cr/items/e3606377-0440-4af7-a027-fe5961cbc363
Arias, S., & Montoya, M. (2023). Observaciones ornitológicas en la Isla del Coco y sus aguas oceánicas, Costa Rica (julio y setiembre, 2020). Biocenosis, 34(1), 65–80. https://doi.org/10.22458/rb.v34i1.4826
Arias, S., & Montoya, M. (2025). Guía de las aves de la Isla del Coco / Guide to the Birds of Cocos Island. Mesa Nacional de Aviturismo Costa Rica. https://www.kerwa.ucr.ac.cr/items/5d5ecf53-c5b3-4dba-8f96-3281f4416313
Barrantes, G., & Chaves-Campos, J. (2009). Birds in coastal and marine environments. En I. S. Wehrtmann & J. Cortés (Eds.), Marine biodiversity of Costa Rica, Central America (pp. 469–478). Dordrecht: Springer Netherlands. https://www.kerwa.ucr.ac.cr/items/04b266f0-13ba-4eb2-b1be-a0019b8981e1
Bates, D., Maechler, M., Bolker, B., Walker, S., Christensen, R. H. B., Singmann, H., Dai, B., Scheipl, F., Grothendieck, G., Green, P., Fox, J., Bauer, A., Krivitsky, P. N., Tanaka, E., Jagan, M., & Boylan R. D. (2015). Package ‘lme4’. Convergence, 12(1), 2.
Bigue, M., Calderón, P., & Herrera, J. (2024). Fortaleciendo el monitoreo, control y vigilancia: Estrategias efectivas para el Corredor Marino de Conservación del Pacífico Este Tropical (Informe técnico).
https://doi.org/10.13140/RG.2.2.15867.73766
Blanco, G., & Sandoval, L. (2019). Three new bird species to Isla del Coco, Costa Rica and additional observations on other accidental bird species. Cotinga, 41, 48–51. https://www.kerwa.ucr.ac.cr/items/3f5af274-5cec-4c92-8292-6b110cf25f34
Broadus, L., Carroll, G., Gonzalez-Solís, J., et al. (2025). A perspective on quantifying the attractiveness of seamounts for marine megafauna. Authorea. https://www.authorea.com/doi/full/10.22541/au.174599647.77520271
Calvo-Villalobos, J., Piedra Castro, L. M., & González-Villalobos, J. (2015). Aves acuáticas en ecosistemas playeros del Parque Nacional Cahuita, Limón, Costa Rica. Zeledonia, 19(2), 11–25. https://repositorio.una.ac.cr/items/de58f1a2-328f-42f5-86dc-e7a9415678c2
Cambra, M., Lara-Lizardi, F., Peñaherrera-Palma, C., Hearn, A., Ketchum, J. T., Zarate, P., et al. (2021). A first assessment of the distribution and abundance of large pelagic species at Cocos Ridge seamounts (Eastern Tropical Pacific) using drifting pelagic baited remote cameras. PLoS One, 16(11), e0244343. https://doi.org/10.1371/journal. pone.0244343
Chesser, R. T., Billerman, S. M., Burns, K. J., Cicero, C., Dunn, J. L., Hernández-Baños, B. E., Jiménez, R. A., Johnson, O., Mason, N. A., & Rasmussen, P. C. (2025). Sixty-sixth supplement to the American Ornithological Society’s Check-list of North American Birds. Ornithology, 142(3), Article ukaf015.
https://doi.org/10.1093/ornithology/ukaf015
Dean, R., & Montoya, M. (2005). Ornithological observations from Cocos Island, Costa Rica (April 2005). Zeledonia, 9(1), 62–68. https://www.zeledonia.com/uploads/7/0/1/0/70104897/2005-9-1.pdf
Easley, K., & Montoya, M. (2006). Observaciones ornitológicas en la Isla del Coco, Costa Rica (Mayo 2006). Zeledonia, 10(2), 31–41. https://www.zeledonia.com/uploads/7/0/1/0/70104897/2006-10-2.pdf
eBird. (2025). Protocolo Pélagico. eBird Help. https://support.ebird.org/en/support/solutions/articles/48000950859-guide-to-ebird-protocols#anchorPelagic
Enright, S. R., Meneses-Orellana, R., & Keith, I. (2021). The Eastern Tropical Pacific Marine Corridor (CMAR): The Emergence of a Voluntary Regional Cooperation Mechanism for the Conservation and Sustainable Use of Marine Biodiversity Within a Fragmented Regional Ocean Governance Landscape. Frontiers in Marine Science, 8, 674825. https://doi.org/10.3389/fmars.2021.674825
Fiedler, P. C., & Lavín, M. F. (2016). Oceanographic conditions of the eastern tropical Pacific. En Coral reefs of the eastern tropical Pacific: Persistence and loss in a dynamic environment (pp. 59–83). Dordrecht: Springer Netherlands.
https://doi.org/10.1007/978-94-017-7499-4_3
Fourriére, M., Azofeifa-Solano, J. C., & Sandoval, L. (2016). Species richness and density of seabirds in Isla del Coco bays, Costa Rica, related to the occurrence of breeding colonies. Marine Ornithology, 44, 241–246. https://doi.org/10.5038/2074-1235.44.2.1185
Garriguez, R., & Dean, R. (2014). The Birds of Costa Rica: A Field Guide. Cornell University Press.
Garrigues, R., Camacho-Varela, P., Corrales, J., Hidalgo, C., Jiménez, R., O’Donnell, P., Rodríguez, D., & Zook, J. (2024). Lista Oficial de las Aves de Costa Rica 2024–2025 – Actualización Noviembre 2024. Comité de Especies Raras y Registros Ornitológicos de Costa Rica (Comité Científico), Asociación Ornitológica de Costa Rica. https://listaoficialavesdecostarica.wordpress.com/
Harrison, P., Perrow, M., & Larsson, H. (2021). Seabirds: The New Identification Guide. Lynx Editions.
Herrera, E., & Blanco, G. (2014). Nuevos registros de avifauna para Costa Rica y el Parque Nacional Isla del Coco. Zeledonia, 18, 104–108. https://www.zeledonia.com/uploads/7/0/1/0/70104897/18-1-011-herrera-blanco-2.pdf
Howell, D., & Zufelt, H. (2019). Oceanic Birds of the World. Princeton University Press.
Huertas Villalobos, J. A., & Sandoval, L. (2012). Ten new bird species for Isla del Coco, Costa Rica. Check List, 8, 568–571. https://doi.org/١٠.١٥٥٦٠/٨.٣.٥٦٨
International Union for Conservation of Nature (IUCN). (2025). The IUCN Red List of Threatened Species, Version 2025-1. https://www.iucnredlist.org
López-Pozuelo, F., & Montoya, M. (2009). Observaciones ornitológicas en la Isla del Coco (enero–mayo 2008). Zeledonia, 13(2), 55–60. https://dialnet.unirioja.es/servlet/articulo?codigo=4043153
Monge, A. M., Segura, G. B., Quirós, K., Herrera, E. H., Siles, M. Z., & Sandoval, L. (2024). Doce nuevos registros y observaciones de siete especies de aves accidentales en el Parque Nacional Isla del Coco, Costa Rica. Zeledonia, 28(2), 33–44. https://www.zeledonia.com/uploads/7/0/1/0/70104897/doce_nuevos_registros_y_observaciones_de_siete_especies_de_aves_accidentales_en_el_parque_nacional_isla_del_coco_costa_rica.pdf
Montoya, M. (2003). Aves de la Isla del Coco: Lista de especies. Zeledonia, 7(2), 29–37.
Montoya, M. (2006). Las aves acuáticas de la Isla del Coco, Costa Rica (Humedal de Importancia Internacional de la Convención de Ramsar). Zeledonia, 10(2), 42–52. https://www.avesdecostarica.org/uploads/7/0/1/0/70104897/2006-10-2.pdf#page=25
Montoya, M. (2007). Notas históricas sobre la ornitología de la Isla del Coco, Costa Rica. Brenesia, 68, 37–57. https://www.avesdecostarica.org/uploads/7/0/1/0/70104897/montoya-m-2007-historia.pdf
Montoya, M. (2008). Aves marinas de la Isla del Coco, Costa Rica y su conservación. Revista de Biología Tropical, 56(2), 133–149. https://doi.org/10.15517/rbt.v56i2.27012
Montoya, M. (2021). Lista de aves de la Isla del Coco de Costa Rica (1990-2020), y caracterización de su avifauna (2020). Zeledonia, 25, 7–48. https://www.zeledonia.com/uploads/7/0/1/0/70104897/lista_de_aves_de_la_isla_del_coco_de_costa_rica.pdf
Montoya, M., & López-Pozuelo, F. (2007). Observaciones ornitológicas en la Isla del Coco, Costa Rica (marzo–agosto 2007). Zeledonia, 11(2), 1–11. https://www.zeledonia.com/uploads/7/0/1/0/70104897/2007-11-2.pdf#page=3
Montoya, M., & Pascal, M. (2004). Dos nuevos registros para la avifauna de la Isla del Coco, Costa Rica. Zeledonia, 8, 7–11. https://www.zeledonia.com/uploads/7/0/1/0/70104897/2004-8-2.pdf
Nalesso, E., Hearn, A., Sosa-Nishizaki, O., Steiner, T., Antoniou, A., Reid, A., et al. (2019). Movements of scalloped hammerhead sharks (Sphyrna lewini) at Cocos Island, Costa Rica and between oceanic islands in the Eastern Tropical Pacific. PLOS ONE, 14(3), e0213741. https://doi.org/10.1371/journal.pone.0213741
Peñaherrera-Palma, C., Arauz, R., Bessudo, S., Bravo-Ormaza, E., Chassot, O., Chinacalle-Martínez, N., et al. (2018). Justificación biológica para la creación de la MigraVía Coco-Galápagos. MigraMar & Pontificia Universidad Católica del Ecuador Sede Manabí. https://redpacifico.net/wp-content/uploads/2020/01/Justificacion-biologica-creacion-MigraVias-web.pdf
Phillips, R., Fort, J., & Dias, P. (2023). Conservation status and overview of threats to seabirds. En L. Young & E. VanderWerf (Eds.), Conservation of Marine Birds (pp. 36–46). Academic Press.
https://doi.org/10.1016/j.biocon.2019.06.033
R Core Team (2025). R: A language and environment for statistical computing. R Foundation for Statistical Computing, Vienna, Austria.
Rojas-Barrantes, A., & Sandoval, L. (2024). An updated checklist of the marine birds (Aves) of Golfo Dulce, southern Costa Rica. CheckList 20(1): 184-198.
https://checklist.pensoft.net/article/99157/
Sandoval, L., Acosta-Chaves, V. J., Ocampo, D., Mora, C., Camacho, A., Martinez, D., & Sanchez, C. (2016). Unusual records of waterbirds in Costa Rica: Possible Connection to El Niño 2015-2016. Marine Ornithology, 44, 167–169.
http://www.marineornithology.org/article?rn=1175
Sánchez, S. B., Webb, M. C., Siles, A. C., & Quesada, E. H. (2024). Aves marinas varadas en la costa del Caribe Noreste de Costa Rica. Zeledonia, 28(2), 56–61. https://www.zeledonia.com/uploads/7/0/1/0/70104897/aves_marinas_varadas_en_la_costa_del_caribe_noreste_de_costa_rica.pdf
Serratosa, J., Hyrenbach, K. D., Miranda-Urbina, D., Portflitt-Toro, M., Luna, N., & Luna-Jorquera, G. (2020). Environmental drivers of seabird at-sea distribution in the Eastern South Pacific Ocean: assemblage composition across a longitudinal productivity gradient. Frontiers in Marine Science, 6, 838. https://doi.org/10.3389/fmars.2019.00838
Slud, P. (1964). The birds of Cocos Island, Costa Rica. Bulletin of the American Museum of Natural History, 128, 53–148.
Stiles, F. G. (1984). Status and conservation of seabirds in Costa Rican waters. International Council for Bird Preservation Technical Publication, 2, 223–229.
Sydeman, W. J., Schoeman, D. S., Thompson, S. A., Hoover, B. A., García-Reyes, M., Daunt, F., Agnew, P., et al. (2021). Hemispheric asymmetry in ocean change and the productivity of ecosystem sentinels. Science, 372(6545), 980–983. https://www.science.org/doi/10.1126/science.abf1772
Valverde, I. V., Solano, R. A. M., & Serrano, D. R. (2021). Abordaje participativo de la riqueza de especies de las aves de Isla Caballo, Costa Rica. Zeledonia, 25(1), 157–167. https://www.zeledonia.com/uploads/7/0/1/0/70104897/abordaje_participativo_de_la_riqueza_de_especies.pdf
Watling, L., & Auster, P. J. (2017). Seamounts on the high seas should be managed as vulnerable marine ecosystems. Frontiers in Marine Science, 4, 14.
https://doi.org/10.3389/fmars.2017.00014
Young, B. E. Y., & Zook, J. R. (2016). Observation frequency and seasonality of marine birds off the Pacific coast of Costa Rica. Revista de Biología Tropical, 64, 235–248. https://doi.org/10.15517/rbt.v64i1.23453
1 Proyecto Plumas Marinas UCR (PluMare), Recinto Paraíso, Sede del Atlántico, Universidad de Costa Rica. Cartago, Costa Rica, sergio.chaconarias@ucr.ac.cr
ID: https://orcid.org/0000-0003-4478-9181
2 Laboratorio de Investigación e Innovación Tecnológica, UNED, San José, Costa Rica, rovargas@uned.ac.cr
ID: https://orcid.org/0000-0003-1244-4381
3 Sistema Nacional de Áreas de Conservación, Ministerio de Ambiente y Energía (MINAE), San José, geiner.golfin@sinac.go.cr
ID: https://orcid.org/0000-0001-6923-9843
Revista Biocenosis
revistabiocenosis@uned.ac.cr
Protegido por licencia Creative Commons